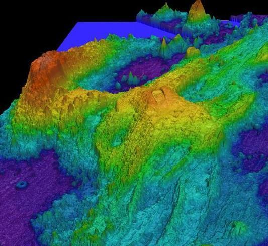
A dorsal Meso-Atlântica é uma cadeia de montanhas submersas, localizada na porção central dos oceanos Atlântico e Ártico. A mesma se estende desde o polo sul até o polo norte, tendo cerca de 65.000 km de extensão e até 1.000 km de largura. Trata-se da maior cordilheira submersa do mundo. Essa cadeia submersa foi descoberta em 1950 e estima-se que se formou a cerca de 200 milhões de anos. É considerada uma estrutura recente tendo em vista que a idade estimada da Terra é de 4,6 bilhões de anos. Esta se originou pelo vulcanismo nos limites divergentes entre as placas tectônicas, Norte-americana e Euro-Asiática, na porção norte, enquanto que na porção sul sua formação foi entre os limites das placas Sul-Americana e Africana. Com o constante movimento das placas tectônicas é possível afirmar que a dorsal Meso-Atlântica e o oceano Atlântico se expandem de 2 a 10 centímetros por ano, acompanhando o aumento gradual da bacia do oceano Atlântico.

Referência: https://www.3bscientific.com.br/product-manual/U70020.pdf
A dorsal Meso-Atlântica se formou pelas erupções da atividade vulcânica da região que forçou o fundo oceânico a se expandir, formando uma cordilheira. Conforme ocorre a ascensão do magma são gerados diversos tipos de deformações no fundo oceânicos após o resfriamento. Ao longo de toda a Dorsal existem diversos vulcões que se formaram a partir das fissuras presentes pela cordilheira. Basicamente, existem dois tipos de vulcões presentes pela Dorsal Meso-Atlântica, os submarinos, onde a ascensão do magma não foi suficiente para chegar acima do nível do mar. Já nos casos em que o magma atinge alturas acima do nível do mar são formados vulcões emersos ou outras estruturas de origem vulcânica, como ilhas, penedos e platôs oceânicos. No oceano Atlântico Sul as ilhas São Paulo e São Pedro que pertencem ao Brasil são exemplos de topos emersos de vulcões submersos.

Referência: https://ocean.si.edu/holding-tank/vents-volcanoes/underwater-volcanic-eruption
Os vulcões submarinos se formam através do acúmulo das lavas que emergem do fundo do mar por entre as falhas das placas tectônicas que formam as bacias oceânicas. Esses vulcões, geram explosões de grandes intensidades, quando localizados em profundidades mais rasas, mesmo submersos, lançam destroços em alturas acima do nível do mar, facilitando a localização deles, já os vulcões de águas mais profundas não possuem intensidade suficiente nas explosões para lançar destroços acima do nível do mar, na maioria das vezes são localizados apenas com o auxílio de máquinas para mapeamento do fundo oceânico, um exemplo de vulcão submarino é o vulcão Axial Seamount localizado próximo a costa dos Estados Unidos.

Referência: https://canaltech.com.br/meio-ambiente/vulcoes-submarinos-ja-conhecidos-e-suas-localizacoes-207032/
Muitas das vezes os picos mais elevados das dorsais meso-oceânicas atingem alturas acima da superfície do mar, aflorando ilhas e arquipélagos. A dorsal Meso-Atlântica originou diversos arquipélagos e ilhas ao longo de sua extensão. Alguns exemplos no Atlântico Sul são as ilhas de Tristão da Cunha e no Atlântico Norte o Arquipélago dos Açores onde se localiza a ilha do pico, ponto mais alto da dorsal Meso-Atlântica, atingindo 2.351 metros acima do nível do mar e a maior ascensão dessa cordilheira de montanhas que formou a ilha que hoje é a Islândia.

Referência: https://igeologico.com.br/o-que-torna-a-islandia-tao-interessante-para-geologos/

Referência: https://tribunadasilhas.pt/governo-dos-acores-apoia-setor-agricola-da-ilha-do-pico/
No Brasil, a dorsal Meso-Atlântica deu origem ao arquipélago de São Pedro e São Paulo, pertencente ao estado de Pernambuco. Esse arquipélago é de grande importância estratégica para o Brasil, por ser o conjunto de ilhas localizado mais próximo a África, estando a cerca de 1100 km do Brasil e 1800 km de Senegal. O arquipélago, após a instalação de uma base da marinha , contribuiu para a expansão da área da Zona Econômica Exclusiva (ZEE) do Brasil, chamada de Amazônia Azul.

Referência: http://www.tribunadonorte.com.br/noticia/equipe-da-ufrn-visita-arquipa-lago/522144
Escrito por: Lucas Felipe Porto Neves
Referências Bibliográficas
HARARI, Joseph (org.). Noções de oceanografia – USP. [S. l.: s. n.], 2021. Disponível em: https://www.io.usp.br/index.php/oceanos/livros.html. Acesso em: 31 maio 2022.
CADEIA Dorsal Mesoatlântica, conheça o colosso submarino – Mar Sem Fim. Disponível em: https://marsemfim.com.br/cadeia-dorsal-mesoatlantica-conheca-o-colosso-submarino/. Acesso em: 31 mar. 2022
GEOLOGIA dos fundos oceânicos. [S. l.], 2013. Disponível em: https://aedmoodle.ufpa.br/pluginfile.php/319011/mod_resource/content/1/Geologia%20dos%20fundos%20oce%C3%A2nicos.pdf#:~:text=A%20dorsal%20Meso%2Datl%C3%A2ntica%20consiste,a%2065.000%20quil%C3%B4metros%20de%20extens%C3%A3o. Acesso em: 31 maio 2022.